سوبر كورنر على شارع 30متر أرض للبيع بسور الحديد السيب

  • OMR 86,000

نظرة عامة

  • أرض سكنية
    نوع العقار
  • 663 sqft
    مساحة الأرض

الوصف

*متخصصون في بيع نصف الأراضي تواصل معنا ونقسم لك الأرض المناسبة حتى نسهل لك التملك*

يتوفر لدينا أرض مميزة

*ممكن بيع نصف الأرض*

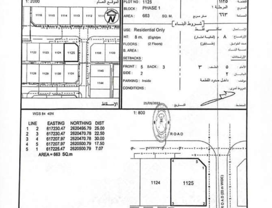
موقع الارض: السيب

المرحلة : سور الحديد

نوع الأرض: سوبر كورنر

مميزات الأرض والخدمات👇🏼

💫 على شارعين مرصوفين وسكة .

💫 على شارع رئيسي 30متر .

💫 مناسبة لبناء توين فيلا .

💫بالقرب من شارع الدما وشاطئ السيب .

💫جميع الخدمات متوفرة.

رقم الأرض : 1125

مساحة الأرض : 663 متر مربع

سعر الأرض : 86 ألف

سعر نصف الأرض: 43 ألف

رقم الإعلان: K26Mar2

💫

 

  • العنوان: 23.690967,58.149728
  • المدينة: سور حديد
  • الولاية: السيب
  • المحافظة: مسقط

قوائم مماثلة